1. Home
  2. Search Listings
  3. 18200 49th Terrace N Jupiter, FL - 33458
  • MLS® #: R11098974
  • 18200 49th Terrace N
  • Jupiter, FL 33458
  • $5,990,000
  • 1.60 Acres
  • Land & Docks

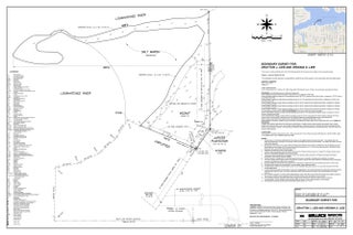
SELLER MOTIVATED. This is the only known property in Jupiter offering over 1,000 ft of private waterfront along the scenic Loxahatchee Rivercomplete with its own private island. A rare opportunity to own one of the most unique land parcels in the area, featuring 69,696 sq ft (1.6 acres) of land with 10,000+ sq ft already cleared. Approximately 5,000-6,000 square feet estimated to be currently buildable (subject to approval, & expandable with variances & mitigation). A DEP permit has been approved for a ~100 ft dock, & a certified expert has confirmed that mangroves on-site may be significantly trimmed to open views & improve usability. With direct access to the water, this property offers unmatched potential for a luxury estate or retreat. Located just minutes from 1000 North..SEE MORE SELLER MOTIVATED. This is the only known property in Jupiter offering over 1,000 ft of private waterfront along the scenic Loxahatchee Rivercomplete with its own private island. A rare opportunity to own one of the most unique land parcels in the area, featuring 69,696 sq ft (1.6 acres) of land with 10,000+ sq ft already cleared. 23,350 square feet currently buildable for single family home (expandable with variances & mitigation). A DEP permit has been approved for a ~100 ft dock, & a certified expert has confirmed that mangroves on-site may be significantly trimmed to open views and improve usability. With direct access to the water, this property offers unmatched potential for a luxury estate or retreat. Located just minutes from 1000 North, The Woods, & the Love Street dining district, this property combines exclusivity with convenience. Don't miss this once-in-a-lifetime opportunity to build on one of Jupiter's last remaining trophy waterfront sites. All information is deemed reliable but not guaranteed. Buyer is advised to independently verify the accuracy of all information. See five (5) documents attached.

Essential Information

  • MLS® #R11098974
  • Price$5,990,000
  • Acres1.60
  • TypeLand & Docks
  • Sub-TypeUnimproved Land
  • StatusActive

Community Information

  • Address18200 49th Terrace N
  • Area5100
  • SubdivisionUnplatted
  • CityJupiter
  • CountyPalm Beach
  • StateFL
  • Zip Code33458

Amenities

  • Is WaterfrontYes

Utilities

Electricity Available, Phone Available, Sewer Available, Water Available

Exterior

  • Lot DescriptionCleared

Additional Information

  • Date ListedJune 12th, 2025
  • Days on Website264
  • ZoningRS
  • Office: Provident Realty Of South Florida Inc.

Property Location

Please provide a valid email address.

18200 49th Terrace N on www.jupiterabacoahomes.us

Offered at the current list price of $5,990,000, this home for sale at 18200 49th Terrace N features bedrooms and 0 bathrooms. This real estate listing is located in Unplatted of Jupiter, FL 33458 . 18200 49th Terrace N is listed under the MLS ID of R11098974 and has been available through www.jupiterabacoahomes.us for the Jupiter real estate market for 264 days.

Facts About Jupiter, FL

If you're looking for an exploration adventure in Jupiter, check out the Jupiter Inlet Lighthouse. The Lighthouse was designed by Civil War hero General George Meade and is operated by the Coast Guard since 1860. Tours of this 105-foot-tall landmark unfold every half hour. There is a small museum that tells about efforts to restore the lighthouse to the way it looked from 1860 to 1918.

One of the draws to Jupiter, FL is the beach. Carlin Park is located in Jupiter and has picnic pavilions, hiking trails, a baseball diamond, a playground, six tennis courts, and fishing sites.

The Jupiter River and the Loxahatchee basin was used by British aviators as a training area for small see planes during the winter of 1916-1917.

Similar Listings to 18200 49th Terrace N

Photo of Listing #R11091602
  • MLS® #: R11091602
  • 18200 49th Terrace N
  • Jupiter, FL 33458
  • $5,499,999
  • 1.6 Acres
  • Land & Docks
Add as Favorite
Photo of Listing #R11148409
  • MLS® #: R11148409
  • 1310 Peninsular Road
  • Jupiter, FL 33469
  • $5,500,000
  • 0.52 Acres
  • Land & Docks
Add as Favorite
Photo of Listing #R10806762
  • MLS® #: R10806762
  • Lt 4 19370 Loxahatchee River Road
  • Jupiter, FL 33458
  • $5,100,000
  • 1.68 Acres
  • Land & Docks
Add as Favorite
Photo of Listing #R11168276
  • MLS® #: R11168276
  • 114 W Riverside Drive
  • Jupiter, FL 33469
  • $5,495,000
  • 0.39 Acres
  • Land & Docks
Add as Favorite

All listings featuring the BMLS logo are provided by Beaches MLS Inc. Copyright 2026 Beaches MLS. This information is not verified for authenticity or accuracy and is not guaranteed.
© 2026 Beaches Multiple Listing Service, Inc. All rights reserved.

Listing information last updated on March 3rd, 2026 at 10:01pm CST.